淡路島の売買土地情報 淡路市・洲本市・南あわじ市

売買土地情報

表示する地域






並び順








  • NEW 区画整備された物件です

    物件番号:0047

    400万円

    住所:洲本市五色町鳥飼浦2599番200

    面積:265㎡(80.16坪)

    取引の状態:


    画像


    全景です



    全景です



    敷地図です



    地図です



    航空写真です


    詳細情報

    売買価格 400万円
    物件番号 0047
    所在 洲本市五色町鳥飼浦2599番200
    交通
    土地面積 公薄265㎡(80.16坪)
    セットバック
    地目 山林
    地勢 平坦
    道路接面種別 公道
    舗装
    接道方位 西
    道路幅員 4m
    建築条件 無し
    駐車場 有り
    土地権利 所有権
    都市計画 未線引き地域
    建ベイ率
    容積率
    取引態様 仲介
    最終更新日 2026/2/8
    情報有効期限 2026/5/7
    備考
    区画整備された物件です
  • NEW 海辺の物件で明石海峡大橋の夜景がとても綺麗です

    物件番号:0046

    550万円

    住所:淡路市岩屋978番14

    面積:66.11㎡(19.99坪)

    取引の状態:


    画像


    全景です



    全景です



    敷地からの夜景です



    敷地からの夜景です



    敷地からの景色です



    前面道路です



    地図です



    航空写真です


    詳細情報

    売買価格 550万円
    物件番号 0046
    所在 淡路市岩屋978番14
    交通
    土地面積 公薄66.11㎡(19.99坪)
    セットバック
    地目 宅地
    地勢 平坦
    道路接面種別 公道
    舗装
    接道方位
    道路幅員 7m
    建築条件 無し
    駐車場 有り
    土地権利 所有権
    都市計画 都市計画区域内・未線引き地域
    建ベイ率 70%
    容積率 400%
    取引態様 仲介
    最終更新日 2025/2/27
    情報有効期限 2025/12/15
    備考
    海辺の物件で明石海峡大橋の夜景がとても綺麗です
  • NEW 人気の楠本物件です。

    物件番号:0045

    700万円

    住所:淡路市楠本762番13

    面積:165㎡(49.91坪)

    取引の状態:完売御礼


    画像


    全景です



    全景です



    全景です



    全景です



    下水マスです



    上水道です



    敷地図です



    地図です



    航空写真です


    詳細情報

    売買価格 700万円
    物件番号 0045
    所在 淡路市楠本762番13
    交通
    土地面積 公薄165㎡(49.91坪)
    セットバック
    地目 原野
    地勢 ひな壇
    道路接面種別 私道
    舗装
    接道方位
    道路幅員 3.50m
    建築条件 無し
    駐車場
    土地権利 所有権
    都市計画 都市計画区域内・未線引き地域
    建ベイ率 60%
    容積率 200%
    取引態様 仲介
    最終更新日 2024/2/14
    情報有効期限 2024/5/13
    備考
    人気の楠本物件です。
  • NEW 人気の楠本物件です。

    物件番号:0044

    500万円

    住所:淡路市楠本762番12

    面積:165㎡(49.91坪)

    取引の状態:


    画像


    全景です



    全景です



    全景です



    敷地と全面道路です



    上・下水道入管位置です



    敷地図です



    地図です



    航空写真です


    詳細情報

    売買価格 500万円
    物件番号 0044
    所在 淡路市楠本762番12
    交通
    土地面積 公薄165㎡(49.91坪)
    セットバック
    地目 原野
    地勢 ひな壇
    道路接面種別 私道
    舗装
    接道方位
    道路幅員 3.50m
    建築条件 無し
    駐車場
    土地権利 所有権
    都市計画 都市計画区域内・未線引き地域
    建ベイ率 60%
    容積率 200%
    取引態様 仲介
    最終更新日 2023/6/16
    情報有効期限 2025/12/15
    備考
    人気の楠本物件です。
  • NEW 砂浜のあるビーチが目の前の物件です。

    物件番号:0043

    21,057,000円

    住所:淡路市谷3-5

    面積:232.05㎡(70.19坪)

    取引の状態:完売御礼


    画像


    全景です



    全景です



    前面道路です



    ビーチの入口です



    ひがしうらグリーンビーチです



    ひがしうらグリーンビーチですです



    ひがしうらグリーンビーチですです



    区画図です



    地図です



    航空写真です


    詳細情報

    売買価格 21,057,000円
    物件番号 0043
    所在 淡路市谷3-5
    交通
    土地面積 公薄232.05㎡(70.19坪)
    セットバック
    地目 宅地
    地勢 平坦
    道路接面種別 私道
    舗装
    接道方位 西
    道路幅員 3.50m
    建築条件 無し
    駐車場
    土地権利 所有権
    都市計画 都市計画区域内・未線引き地域
    建ベイ率 70%
    容積率 200%
    取引態様 仲介
    最終更新日 2023/3/6
    情報有効期限 2023/6/5
    備考
    砂浜のあるビーチが目の前の物件です。
  • NEW 砂浜のあるビーチが目の前の物件です。

    物件番号:0042

    14,058,000円

    住所:淡路市谷3-6

    面積:154.93㎡(46.86坪)

    取引の状態:完売御礼


    画像


    全景です



    全景です



    前面道路です



    ビーチの入口です



    ひがしうらグリーンビーチです



    ひがしうらグリーンビーチですです



    ひがしうらグリーンビーチですです



    区画図です



    地図です



    航空写真です


    詳細情報

    売買価格 14,058,000円
    物件番号 0042
    所在 淡路市谷3-6
    交通
    土地面積 公薄154.93㎡(46.86坪)
    セットバック
    地目 宅地
    地勢 平坦
    道路接面種別 私道
    舗装
    接道方位 西
    道路幅員 3.50m
    建築条件 無し
    駐車場
    土地権利 所有権
    都市計画 都市計画区域内・未線引き地域
    建ベイ率 70%
    容積率 200%
    取引態様 仲介
    最終更新日 2023/3/6
    情報有効期限 2023/6/5
    備考
    砂浜のあるビーチが目の前の物件です。
  • NEW 高速道路淡路インターに近く 格安物件です。

    物件番号:0041

    250万円

    住所:淡路市岩屋285番54

    面積:94.95㎡(28.72坪)

    取引の状態:


    画像


    全景です



    全面道路です



    上下水道入管位置です



    高速道路インターです



    敷地図です



    地図です



    航空写真です


    詳細情報

    売買価格 250万円
    物件番号 0041
    所在 淡路市岩屋285番54
    交通
    土地面積 公薄94.95㎡(28.72坪)
    セットバック
    地目 宅地
    地勢 ひな壇
    道路接面種別 私道
    舗装
    接道方位 北西
    道路幅員 4.00m
    建築条件 無し
    駐車場
    土地権利 所有権
    都市計画 都市計画区域内・未線引き地域
    建ベイ率 60%
    容積率 200%
    取引態様 仲介
    最終更新日 2023/3/2
    情報有効期限 2025/12/15
    備考
    高速道路淡路インターに近く 格安物件です。
  • NEW 人気の浦物件で保育園・小学校・スーパーも近くて便利です。(建築条件付き)

    物件番号:0040

    17,072,900円

    住所:淡路市浦821-3

    面積:245.39㎡(74.23坪)

    取引の状態:完売御礼


    画像


    全景です



    敷地と道路です



    接道です



    保育園です



    小学校です



    郵便局です



    市役所東浦支所です



    スパーマーケットです



    ドラックストアです



    高速バス東浦バスターミナルです



    高速道路東浦インターです



    敷地図です



    地図です



    航空写真です


    詳細情報

    売買価格 17,072,900円
    物件番号 0040
    所在 淡路市浦821-3
    交通
    土地面積 公薄245.39㎡(74.23坪)
    セットバック
    地目 宅地
    地勢 平坦
    道路接面種別 私道
    舗装
    接道方位
    道路幅員 4.00m
    建築条件 有り
    駐車場
    土地権利 所有権
    都市計画 都市計画区域内・未線引き地域
    建ベイ率 60%
    容積率 200%
    取引態様 仲介
    最終更新日 2023/3/1
    情報有効期限 2023/5/31
    備考
    人気の浦物件で保育園・小学校・スーパーも近くて便利です。(建築条件付き)
  • NEW 人気の浦物件で保育園・小学校・スーパーも近くて便利です。(建築条件付き)

    物件番号:0039

    14,897,500円

    住所:淡路市浦821-4

    面積:197.01㎡(59.59坪)

    取引の状態:完売御礼


    画像


    全景です



    全景です



    敷地道路です



    接道です



    保育園です



    小学校です



    郵便局です



    市役所東浦支所です



    スパーマーケットです



    ドラックストアです



    高速バス東浦バスターミナルです



    高速道路東浦インターです



    敷地図です



    地図です



    航空写真です


    詳細情報

    売買価格 14,897,500円
    物件番号 0039
    所在 淡路市浦821-4
    交通
    土地面積 公薄197.01㎡(59.59坪)
    セットバック
    地目 宅地
    地勢 平坦
    道路接面種別 私道
    舗装
    接道方位
    道路幅員 4.00m
    建築条件 有り
    駐車場
    土地権利 所有権
    都市計画 都市計画区域内・未線引き地域
    建ベイ率 60%
    容積率 200%
    取引態様 仲介
    最終更新日 2023/3/1
    情報有効期限 2023/5/31
    備考
    人気の浦物件で保育園・小学校・スーパーも近くて便利です。(建築条件付き)
  • NEW 播磨灘一望

    物件番号:0038

    860万円

    住所:淡路市野島江崎572-26

    面積:158.96㎡(48.08坪)

    取引の状態:完売御礼


    画像


    全景です



    敷地ヵらの景色です



    全面道路です



    敷地図です



    地図です



    航空写真です


    詳細情報

    売買価格 860万円
    物件番号 0038
    所在 淡路市野島江崎572-26
    交通
    土地面積 公薄158.96㎡(48.08坪)
    セットバック
    地目 宅地
    地勢 平坦
    道路接面種別 私道
    舗装
    接道方位
    道路幅員 3.60m
    建築条件
    駐車場
    土地権利 所有権
    都市計画 都市計画区域内・未線引き地域
    建ベイ率 60%
    容積率 200%
    取引態様 仲介
    最終更新日 2023/12/28
    情報有効期限 2025/4/10
    備考
    敷地から播磨灘一望です 上水道未接続、合併浄化槽設置可 管理費年間2万円
  • NEW 播磨灘一望

    物件番号:0037

    4380万円

    住所:淡路市野島江崎1249-1

    面積:2383㎡(720.85坪)

    取引の状態:完売御礼


    画像


    敷地からの眺望です



    全景です



    全景です



    全景です



    全景です



    敷地図です



    地図です



    航空写真です


    詳細情報

    売買価格 4380万円
    物件番号 0037
    所在 淡路市野島江崎1249-1
    交通
    土地面積 公薄2383㎡(720.85坪)
    セットバック
    地目 山林
    地勢 斜面地
    道路接面種別 公道
    舗装
    接道方位 南東
    道路幅員 3.60m
    建築条件
    駐車場
    土地権利 所有権
    都市計画 都市計画区域内・未線引き地域
    建ベイ率 60%
    容積率 200%
    取引態様 仲介
    最終更新日 2023/2/24
    情報有効期限 2024/4/7
    備考
    敷地から播磨灘一望です 上水道未接続、合併浄化槽設置可
  • NEW 海まで近い物件です

    物件番号:0036

    300万円

    住所:淡路市谷410-2

    面積:165.93㎡(50.19坪)

    取引の状態:完売御礼


    画像


    全景です



    全景です



    全景です



    全景です



    地図です



    航空写真です


    詳細情報

    売買価格 300万円
    物件番号 0036
    所在 淡路市谷410番2
    交通
    土地面積 公薄165.93㎡(50.19坪)
    セットバック
    地目 宅地
    地勢 ひな壇
    道路接面種別 私道
    舗装
    接道方位 西
    道路幅員 4.00m
    建築条件
    駐車場
    土地権利 所有権
    都市計画 都市計画区域内・未線引き地域
    建ベイ率 60%
    容積率 200%
    取引態様 仲介
    最終更新日 2023/2/20
    情報有効期限 2023/5/19
    備考
    海に近い物件です 上水道未接続
  • NEW 高台にある物件です

    物件番号:0035

    850万円

    住所:淡路市久岩屋3000番107

    面積:241㎡(72.90坪)

    取引の状態:


    画像


    全景です



    全景です



    高速バス鵜崎バス停です



    コンビニです



    岩屋中学校です



    淡路警察署です



    敷地図です



    地図です



    航空写真です


    詳細情報

    売買価格 850万円
    物件番号 0035
    所在 淡路市岩屋3000番107
    交通
    土地面積 公薄241㎡(72.90坪)
    セットバック
    地目 山林
    地勢 ひな壇
    道路接面種別 公道
    舗装
    接道方位
    道路幅員 4.00m
    建築条件
    駐車場
    土地権利 所有権
    都市計画 都市計画区域内・未線引き地域
    建ベイ率 70%
    容積率 200%
    取引態様 仲介
    最終更新日 2023/2/4
    情報有効期限 2025/4/10
    備考
    高台にある物件です 上下水道未接続
  • NEW 人気の久留麻です

    物件番号:0034

    600万円

    住所:淡路市久留麻2176番

    面積:266㎡(80.46坪)

    取引の状態:


    画像


    全景です



    全景です



    全景です



    小学校です



    保育所です



    スーパーです



    郵便局です



    ホームセンターです



    ドラックストアです



    地図です



    敷地図です



    航空写真です


    詳細情報

    売買価格 600万円
    物件番号 0034
    所在 淡路市久留麻2176番
    交通
    土地面積 公薄266㎡(80.46坪)
    セットバック
    地目 宅地
    地勢 平坦
    道路接面種別 私道
    舗装
    接道方位
    道路幅員 2.00m
    建築条件
    駐車場
    土地権利 所有権
    都市計画 都市計画区域内・未線引き地域
    建ベイ率 60%
    容積率 200%
    取引態様 仲介
    最終更新日 2023/1/29
    情報有効期限 2023/4/28
    備考
    人気の久留麻です 下水道つなぎこみ済み 上水道未接続
  • NEW 間口も広く 前面道路も広いです

    物件番号:0033

    900万円

    住所:淡路市富島1968番

    面積:583.71㎡(176.57坪)

    取引の状態:完売御礼


    画像


    全景です



    全景です



    前面道路です



    間口です



    奥行です



    地図です



    区画図です



    航空写真です


    詳細情報

    売買価格 900万円
    物件番号 0033
    所在 淡路市富島1698番
    交通
    土地面積 公薄583.71㎡(176.57坪)
    セットバック
    地目 宅地
    地勢 平坦
    道路接面種別 公道
    舗装
    接道方位
    道路幅員 7.00m
    建築条件
    駐車場
    土地権利 所有権
    都市計画 都市計画区域内・未線引き地域
    建ベイ率 70%
    容積率 400%
    取引態様 仲介
    最終更新日 2022/11/10
    情報有効期限 2023/2/9
    備考
    間口も広く 前面道路も広いです
  • NEW 高台で2階から海が望めます

    物件番号:0032

    1200万円

    住所:淡路市岩屋2010番243

    面積:312㎡(94.38坪)

    取引の状態:完売御礼


    画像


    全景です



    全景です



    建ち並びです



    敷地図です



    地図です



    航空写真です


    詳細情報

    売買価格 1200万円
    物件番号 0032
    所在 淡路市岩屋2010番243
    交通
    土地面積 公薄312㎡(94.38坪)
    セットバック
    地目 雑種地
    地勢 平坦
    道路接面種別 公道
    舗装
    接道方位
    道路幅員 5.00m
    建築条件
    駐車場
    土地権利 所有権
    都市計画 都市計画区域内・未線引き地域
    建ベイ率 60%
    容積率 200%
    取引態様 仲介
    最終更新日 2021/10/1
    情報有効期限 2021/12/31
    備考
    2階から海が望めます
  • NEW 山の中の静かな環境の土地です

    物件番号:0031

    60万円

    住所:淡路市小田1526番78

    面積:88㎡(26.62坪)

    取引の状態:


    画像


    全景です



    全景です



    側道です



    前面道路と物件の関係です



    敷地図です



    地図です



    航空写真です


    詳細情報

    売買価格 60万円
    物件番号 0031
    所在 淡路市小田1526番78
    交通
    土地面積 公薄88㎡(26.62坪)
    セットバック
    地目 山林
    地勢 平坦
    道路接面種別 私道
    舗装
    接道方位
    道路幅員 5.00m
    建築条件
    駐車場
    土地権利 所有権
    都市計画 都市計画区域内・未線引き地域
    建ベイ率 60%
    容積率 200%
    取引態様 仲介
    最終更新日 2021/6/24
    情報有効期限 2025/12/15
    備考
    山の中の静かな環境の土地です
  • NEW 県道沿い間口の広い土地です

    物件番号:0030

    2250万円

    住所:淡路市中村111-1

    面積:413㎡(124.93坪)

    取引の状態:完売御礼


    画像


    全景です



    全景です



    全景です



    前面道路と物件の関係です



    地図です



    航空写真です


    詳細情報

    売買価格 2250万円
    物件番号 0030
    所在 淡路市中村111-1
    交通
    土地面積 公薄413㎡(124.93坪)
    セットバック
    地目 雑種地
    地勢 平坦
    道路接面種別 公道
    舗装
    接道方位
    道路幅員 9.00m
    建築条件
    駐車場
    土地権利 所有権
    都市計画 都市計画区域内・未線引き地域
    建ベイ率
    容積率
    取引態様 仲介
    最終更新日 2021/6/23
    情報有効期限 2025/12/15
    備考
    県道沿い間口の広い土地です
  • NEW 国道沿の広い土地です  大磯高速バス停にも近いです

    物件番号:0029

    800万円

    住所:淡路市浦1178番15

    面積:301.15㎡(91.09坪)

    取引の状態:完売御礼


    画像


    全景です



    全景です



    全景です



    入口です



    下水入管です



    地図です



    航空写真です


    詳細情報

    売買価格 800万円
    物件番号 0029
    所在 淡路市浦1178番15
    交通
    土地面積 公薄301.15㎡(91.09坪)
    セットバック
    地目 宅地
    地勢 平坦
    道路接面種別 公道
    舗装
    接道方位
    道路幅員 9.00m
    建築条件
    駐車場
    土地権利 所有権
    都市計画 都市計画区域内・未線引き地域
    建ベイ率 60%
    容積率 200%
    取引態様 仲介
    最終更新日 2020/7/20
    情報有効期限 2020/10/19
    備考
    国道に面してる広い土地です 大磯高速バス停にも近いです
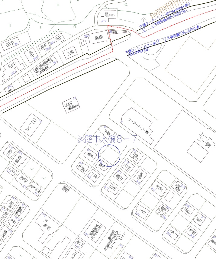
  • NEW 人気の大磯の物件です  大磯高速バス停にも近いです

    物件番号:0028

    580万円

    住所:淡路市大磯8-7

    面積:191.28㎡(57.86坪)

    取引の状態:完売御礼


    画像


    全景です



    全景です



    全景です



    上下水道入管位置です



    北側境界です



    南側境界です



    地図です



    航空写真です


    詳細情報

    売買価格 580万円
    物件番号 0028
    所在 淡路市大磯8-7
    交通
    土地面積 公薄191.28㎡(57.86坪)
    セットバック
    地目 宅地
    地勢 平坦
    道路接面種別 公道
    舗装
    接道方位
    道路幅員 5.1m
    建築条件
    駐車場
    土地権利 所有権
    都市計画 都市計画区域内・未線引き地域
    建ベイ率 60%
    容積率 200%
    取引態様 仲介
    最終更新日 2020/6/23
    情報有効期限 2020/9/22
    備考
    人気の大磯の物件です 大磯高速バス停にも近いです
  • NEW 人気の浦物件です  大磯高速バス停にも近いです

    物件番号:0027

    1300万円

    住所:淡路市浦1178番17

    面積:287.64㎡(87.01坪)

    取引の状態:完売御礼


    画像


    敷地です



    進入路です



    敷地です



    敷地です



    前面道路です



    地図です



    敷地図です


    詳細情報

    売買価格 1300万円
    物件番号 0027
    所在 淡路市浦1178番17
    交通
    土地面積 公薄287.64㎡(87.01坪)
    セットバック
    地目 宅地
    地勢 平坦
    道路接面種別 公道
    舗装
    接道方位 西
    道路幅員 4m
    建築条件
    駐車場
    土地権利 所有権
    都市計画 都市計画区域内・未線引き地域
    建ベイ率 60%
    容積率 200%
    取引態様 仲介
    最終更新日 2021/12/10
    情報有効期限 2022/3/9
    備考
    人気の浦物件です 大磯高速バス停にも近いです
  • NEW 閑静な別荘地です

    物件番号:0025

    100万円

    住所:淡路市仁井1173番51

    面積:99㎡(29.94坪)

    取引の状態:売り止め


    画像


    敷地です



    敷地です



    接道です



    接道です



    区画図です



    地図です



    航空写真です


    詳細情報

    売買価格 100万円
    物件番号 0025
    所在 淡路市仁井1173番51
    交通
    土地面積 公薄99㎡(29.94坪)
    セットバック
    地目 山林
    地勢 雛壇
    道路接面種別 私道
    舗装
    接道方位 北/西
    道路幅員 3.6m
    建築条件
    駐車場
    土地権利 所有権
    都市計画 都市計画区域内・未線引き地域
    建ベイ率 60%
    容積率 200%
    取引態様 仲介
    最終更新日 2020/7/20
    情報有効期限 2020/10/19
    備考
    閑静な別荘地です
  • NEW 閑静な別荘地です

    物件番号:0024

    100万円

    住所:淡路市仁井1173番53

    面積:105㎡(31.76坪)

    取引の状態:売り止め


    画像


    敷地です



    敷地です



    接道です



    接道です



    ガレージです



    区画図です



    地図です



    航空写真です


    詳細情報

    売買価格 100万円
    物件番号 0024
    所在 淡路市仁井1173番53
    交通
    土地面積 公薄105㎡(31.76坪)
    セットバック
    地目 山林
    地勢 平坦
    道路接面種別 私道
    舗装
    接道方位 南/西
    道路幅員 3.6m
    建築条件
    駐車場
    土地権利 所有権
    都市計画 都市計画区域内・未線引き地域
    建ベイ率 60%
    容積率 200%
    取引態様 仲介
    最終更新日 2020/7/20
    情報有効期限 2020/10/19
    備考
    閑静な別荘地です
  • NEW 人気の久留麻で閑静な住宅地です

    物件番号:0023

    5500万円

    住所:淡路市久留麻2124

    面積:1655.63㎡(500.82坪)

    取引の状態:完売御礼


    画像


    敷地です



    敷地です



    敷地です



    敷地です



    航空写真です


    詳細情報

    売買価格 5500万円
    物件番号 0023
    所在 淡路市久留麻2124
    交通
    土地面積 公薄1655.63㎡(500.82坪)
    セットバック
    地目
    地勢 平坦
    道路接面種別 公道
    舗装
    接道方位 西
    道路幅員
    建築条件
    駐車場
    土地権利 所有権
    都市計画 都市計画区域内・未線引き地域
    建ベイ率 60%
    容積率 200%
    取引態様 仲介
    最終更新日 2023/1/27
    情報有効期限 2023/4/26
    備考
    人気の久留麻で閑静な住宅地です
  • NEW 閑静な住宅地です

    物件番号:0022

    300万円

    住所:淡路市志筑2442番29・2456番1

    面積:555㎡(167.88坪)

    取引の状態:


    画像


    敷地です



    敷地です



    区画図です



    航空写真です



    土砂災害のハザードマップです



    標高図です


    詳細情報

    売買価格 300万円
    物件番号 0022
    所在 淡路市志筑2442番29・2456番1
    交通
    土地面積 公薄612.00㎡(167.88坪)
    セットバック
    地目 雑種地
    地勢
    道路接面種別 私道
    舗装
    接道方位
    道路幅員
    建築条件
    駐車場
    土地権利 所有権
    都市計画 都市計画区域内・未線引き地域
    建ベイ率 60%
    容積率 200%
    取引態様 仲介
    最終更新日 2022/2/19/td>
    情報有効期限 2025/4/10
    備考
    閑静な住宅地です
  • NEW 閑静な住宅地です

    物件番号:0021

    651万円

    住所:淡路市志筑2468番21

    面積:269.33㎡(81.47坪)

    取引の状態:完売御礼


    画像


    敷地です



    敷地です



    敷地です



    区画図です



    航空写真です



    土砂災害のハザードマップです



    標高図です


    詳細情報

    売買価格 651万円
    物件番号 0021
    所在 淡路市志筑2468番21
    交通
    土地面積 公薄269.33㎡(81.47坪)
    セットバック
    地目 雑種地
    地勢
    道路接面種別 私道
    舗装
    接道方位
    道路幅員
    建築条件
    駐車場
    土地権利 所有権
    都市計画 都市計画区域内・未線引き地域
    建ベイ率 60%
    容積率 200%
    取引態様 仲介
    最終更新日 2020/7/20
    情報有効期限 2020/10/19
    備考
    閑静な住宅地です
  • NEW 閑静な住宅地です

    物件番号:0020

    288万円

    住所:淡路市志筑2468番2

    面積:318.00㎡(96.19坪)

    取引の状態:完売御礼


    画像


    敷地です



    敷地です



    敷地です



    区画図です



    航空写真です



    土砂災害のハザードマップです



    標高図です


    詳細情報

    売買価格 288万円
    物件番号 0020
    所在 淡路市志筑2468番2
    交通
    土地面積 公薄318.00㎡(96.19坪)
    セットバック
    地目 雑種地
    地勢
    道路接面種別 私道
    舗装
    接道方位
    道路幅員
    建築条件
    駐車場
    土地権利 所有権
    都市計画 都市計画区域内・未線引き地域
    建ベイ率 60%
    容積率 200%
    取引態様 仲介
    最終更新日 2022/2/19
    情報有効期限 2022/5/18
    備考
    閑静な住宅地です
  • NEW 閑静な住宅地です

    物件番号:0019

    50万円

    住所:淡路市志筑2468番14・20

    面積:180.00㎡(54.45坪)

    取引の状態:


    画像


    敷地です



    敷地です



    敷地です



    区画図です



    航空写真です



    土砂災害のハザードマップです



    標高図です


    詳細情報

    売買価格 50万円
    物件番号 0019
    所在 淡路市志筑2468番14・20
    交通
    土地面積 公薄180㎡(54.45坪)
    セットバック
    地目 雑種地
    地勢
    道路接面種別 私道
    舗装
    接道方位
    道路幅員
    建築条件
    駐車場
    土地権利 所有権
    都市計画 都市計画区域内・未線引き地域
    建ベイ率 60%
    容積率 200%
    取引態様 仲介
    最終更新日 2022/2/19
    情報有効期限 2025/4/10
    備考
    閑静な住宅地です
  • NEW 人気の第3小学校区です

    物件番号:0018

    250万円

    住所:洲本市千草庚2号地72-1

    面積:134.00㎡(40.53坪)

    取引の状態:


    画像


    敷地です



    敷地です



    分譲区画図



    地図です


    詳細情報

    売買価格 250万円
    物件番号 0018
    所在 洲本市千草庚72-1
    交通
    土地面積 公薄134.00㎡(40.53坪)
    セットバック
    地目 宅地
    地勢 平坦
    道路接面種別 私道
    舗装
    接道方位
    道路幅員 4m
    建築条件
    駐車場
    土地権利 所有権
    都市計画 都市計画区域内・未線引き地域
    建ベイ率 60%
    容積率 200%
    取引態様 仲介
    最終更新日 2022/2/24
    情報有効期限 2022/5/23
    備考
    人気の第3小学校区です
  • NEW 人気の第3小学校区です

    物件番号:0017

    570万円

    住所:洲本市千草庚2号地241-2

    面積:235.40㎡(71.20坪)

    取引の状態:完売御礼


    画像


    敷地です



    敷地です



    分譲区画図



    地図です


    詳細情報

    売買価格 570万円
    物件番号 0017
    所在 洲本市千草庚241-2
    交通
    土地面積 公薄235.40㎡(71.20坪)
    セットバック
    地目 宅地
    地勢 平坦
    道路接面種別 私道
    舗装
    接道方位
    道路幅員 4m
    建築条件
    駐車場
    土地権利 所有権
    都市計画 都市計画区域内・未線引き地域
    建ベイ率 60%
    容積率 200%
    取引態様 仲介
    最終更新日 2020/7/20
    情報有効期限 2020/10/19
    備考
    人気の第3小学校区です
  • NEW 人気の第3小学校区です

    物件番号:0016

    750万円

    住所:洲本市千草庚235-5

    面積:192.18㎡(58.13坪)

    取引の状態:完売御礼


    画像


    敷地です



    敷地です



    敷地です



    分譲区画図です



    地図です


    詳細情報

    売買価格 750万円
    物件番号 0016
    所在 洲本市千草庚235-5
    交通
    土地面積 公薄192.18㎡(58.13坪)
    セットバック
    地目 宅地
    地勢 平坦
    道路接面種別 私道
    舗装
    接道方位
    道路幅員 4m
    建築条件
    駐車場
    土地権利 所有権
    都市計画 都市計画区域内・未線引き地域
    建ベイ率 60%
    容積率 200%
    取引態様 仲介
    最終更新日 2020/7/20
    情報有効期限 2020/10/19
    備考
    人気の第3小学校区です
  • NEW 高台で小学校・保育所・中学校が近いです

    物件番号:0015

    950万円

    住所:淡路市久留麻1705-1

    面積:386.95㎡(117.05坪)

    取引の状態:完売御礼


    画像


    敷地です



    敷地です



    区画図です



    保育所です



    小学校です



    郵便局です



    スーパーです



    航空写真です


    詳細情報

    売買価格 950万円
    物件番号 0015
    所在 淡路市久留麻1705-1
    交通
    土地面積 公薄386.95㎡(117.05坪)
    セットバック
    地目
    地勢 高台
    道路接面種別 私道
    舗装
    接道方位
    道路幅員
    建築条件
    駐車場
    土地権利 所有権
    都市計画 都市計画区域内・未線引き地域
    建ベイ率 60%
    容積率 200%
    取引態様 仲介
    最終更新日 2020/7/20
    情報有効期限 2020/10/19
    備考
    高台で、保育所や小学校が近いです
  • NEW 高台で小学校・保育所・中学校が近いです

    物件番号:0014

    900万円

    住所:淡路市久留麻1705-4

    面積:373㎡(112.83坪)

    取引の状態:完売御礼


    画像


    敷地です



    敷地です



    区画図です



    保育所です



    小学校です



    郵便局です



    スーパーです



    航空写真です


    詳細情報

    売買価格 900万円
    物件番号 0014
    所在 淡路市久留麻1705-4
    交通
    土地面積 公薄373㎡(112.83坪)
    セットバック
    地目
    地勢 高台
    道路接面種別 私道
    舗装
    接道方位
    道路幅員
    建築条件
    駐車場
    土地権利 所有権
    都市計画 都市計画区域内・未線引き地域
    建ベイ率 60%
    容積率 200%
    取引態様 仲介
    最終更新日 2020/7/20
    情報有効期限 2020/10/19
    備考
    高台で、保育所や小学校が近いです
  • NEW 高台で海が見えます

    物件番号:0012

    560万円

    住所:淡路市生穂打越

    面積:200㎡(60.50坪)

    取引の状態:売り止め


    画像


    敷地です



    分譲区画図です



    航空写真です



    弊社事務所です


    詳細情報

    売買価格 560万円
    物件番号 0012
    所在 淡路市生穂打越
    交通
    土地面積 公薄 200㎡(60.50坪)
    セットバック
    地目 山林
    地勢 高台
    道路接面種別 私道
    舗装
    接道方位
    道路幅員
    建築条件
    駐車場
    土地権利 所有権
    都市計画 都市計画区域内・未線引き地域
    建ベイ率 60%
    容積率 200%
    取引態様 仲介
    最終更新日 2022/2/19
    情報有効期限 2022/5/18
    備考
    高台で海が見えます
  • NEW 閑静な住宅地です

    物件番号:0010

    400万円

    住所:淡路市尾崎388-42

    面積:156.50㎡(47.34坪)

    取引の状態:完売御礼


    画像


    敷地です



    前面道路です



    前面道路です



    敷地です



    航空写真です


    詳細情報

    売買価格 400万円
    物件番号 0010
    所在 淡路市尾崎388-42
    交通
    土地面積 公薄 156.50㎡(47.34坪)
    セットバック
    地目 宅地
    地勢 高台
    道路接面種別 私道
    舗装
    接道方位 西
    道路幅員 4.5m
    建築条件
    駐車場
    土地権利 所有権
    都市計画 都市計画区域外
    建ベイ率 %
    容積率 %
    取引態様 仲介
    最終更新日 2020/7/20
    情報有効期限 2020/10/19
    備考
    高台に有閑静な住宅地です
  • NEW 鳥飼浦漁港の隣接地です

    物件番号:007

    350万円

    住所:洲本市五色町鳥飼浦15-2

    面積:216㎡

    取引の状態:売り止め


    画像


    眺望です



    漁港の風景です


    詳細情報

    売買価格 350万円
    物件番号 007
    所在 洲本市五色町鳥飼浦15-2
    交通
    土地面積 公薄 216㎡
    セットバック
    地目
    地勢 平坦
    道路接面種別
    舗装
    接道方位
    道路幅員 m
    建築条件
    駐車場
    土地権利 所有権
    都市計画 都市計画区域外
    建ベイ率 %
    容積率 %
    取引態様 仲介
    最終更新日 2019/8/29
    情報有効期限 2019/11/28
    備考
    ・鳥飼漁港に隣接しています
  • NEW 敷地から海が見えます

    物件番号:006

    250万円

    住所:淡路市野島江崎557-12

    面積:172.49㎡

    取引の状態:完売御礼


    画像


    前面道路です



    眺望です



    海岸線です



    天然温泉松帆の郷です



    淡路I.Cです



    航空写真です


    詳細情報

    売買価格 250万円
    物件番号 006
    所在 淡路市野島江崎557-12
    交通
    土地面積 公薄 172.49㎡
    セットバック
    地目
    地勢 高台
    道路接面種別 私道
    舗装
    接道方位
    道路幅員 m
    建築条件
    駐車場
    土地権利 所有権
    都市計画 都市計画区域内 未線引地域
    建ベイ率 60%
    容積率 200%
    取引態様 仲介
    最終更新日 2019/8/29
    情報有効期限 2019/11/28
    備考
    ・海一望です.釣りに最適です
  • NEW 大阪湾が見えます

    物件番号:005

    850万円

    住所:淡路市生穂2937番120

    面積:275.86㎡

    取引の状態:売り止め


    画像


    敷地です



    敷地です



    敷地です



    ひな壇の敷地です



    前面道路です



    航空写真です


    詳細情報

    売買価格 850万円
    物件番号 005
    所在 淡路市生穂2937番120
    交通
    土地面積 公薄 275.86㎡
    セットバック
    地目 雑種地
    地勢 高台
    道路接面種別
    舗装
    接道方位
    道路幅員 4m
    建築条件
    駐車場
    土地権利 所有権
    都市計画 都市計画区域内 未線引地域
    建ベイ率 60%
    容積率 200%
    取引態様 仲介
    最終更新日 2019/8/29
    情報有効期限 2019/11/28
    備考
    ・高台海一望です
  • NEW 播磨灘が見えます

    物件番号:002

    450万円

    住所:淡路市育波597-12

    面積:142.29㎡

    取引の状態:完売御礼


    画像


    敷地です



    前面道路です



    前面道路です


    詳細情報

    売買価格 450万円
    物件番号 002
    所在 淡路市育波597-12
    交通
    土地面積 公薄 142.29㎡
    セットバック
    地目 宅地
    地勢 高台
    道路接面種別 公道
    舗装
    接道方位 西
    道路幅員 4.5m
    建築条件
    駐車場
    土地権利 所有権
    都市計画 区域内 無指定
    建ベイ率 60%
    容積率 200%
    取引態様 仲介
    最終更新日 2021/4/5/td>
    情報有効期限 2021/7/4
    備考
    ・水道引き込み済です。
    ・高台で播磨灘が見えます。
    ・インターから近いです。